Richland County, Wisconsin Maps

Richland County History Room

Richland Center, Wisconsin

Maps

 

Richland County township changes through the years
 

Plats by Year
YearTownship
1860    Eagle     Orion      
1866     Forest          
1874AkanBloomBuena VistaDaytonEagleForestHenriettaIthacaMarshallOrionRichlandRichwoodRockbridgeSylvan WestfordWillow
1880AkanBloomBuena VistaDaytonEagleForestHenriettaIthacaMarshallOrionRichlandRichwoodRockbridgeSylvanWestfordWillow
1895AkanBloomBuena VistaDaytonEagleForestHenriettaIthacaMarshallOrionRichlandRichwoodRockbridgeSylvanWestfordWillow
1903AkanBloomBuena VistaDaytonEagleForestHenriettaIthacaMarshallOrionRichlandRichwoodRockbridgeSylvanWestfordWillow
1913AkanBloomBuena VistaDaytonEagleForestHenriettaIthacaMarshallOrion RichlandRichwoodRockbridgeSylvanWestfordWillow
1919AkanBloomBuena VistaDaytonEagleForestHenriettaIthacaMarshallOrionRichlandRichwoodRockbridgeSylvanWestfordWillow
1931AkanBloomBuena VistaDaytonEagleForestHenriettaIthacaMarshallOrionRichlandRichwoodRockbridgeSylvanWestfordWillow
1936AkanBloomBuena VistaDaytonEagleForestHenriettaIthacaMarshallOrionRichlandRichwoodRockbridgeSylvanWestfordWillow
1949AkanBloomBuena VistaDaytonEagleForestHenriettaIthacaMarshallOrionRichlandRichwoodRockbridgeSylvanWestfordWillow
1951AkanBloomBuena VistaDaytonEagleForestHenriettaIthacaMarshallOrionRichlandRichwoodRockbridgeSylvan WestfordWillow
1965 Unavailable online due to copyright
1968
1972
1983
1987
1989
1991
1994
1997
1999
2003
2005
2007
2009

Plats by Township
TownshipYear
Akan  1874188018951903191319191931193619491951
Bloom  1874188018951903191319191931193619491951
Buena Vista  1874188018951903191319191931193619491951
Dayton  1874188018951903191319191931193619491951
Eagle 1860 1874188018951903191319191931193619491951
Forest  18661874188018951903191319191931193619491951
Henrietta  1874188018951903191319191931193619491951
Ithaca  1874188018951903191319191931193619491951
Marshall  1874188018951903191319191931193619491951
Orion 1860 1874188018951903191319191931193619491951
Richland  1874188018951903191319191931193619491951
Richwood  1874188018951903191319191931193619491951
Rockbridge  1874188018951903191319191931193619491951
Sylvan  1874188018951903191319191931193619491951
Westford  1874188018951903191319191931193619491951
Willow  1874188018951903191319191931193619491951

Village Maps
Bloom City 189519191951
Boaz 189519191951
Buck Creek 1895  
Byrd's Creek 189519191951
Cazenovia 1895 1951
Eagle Corners 1895  
Excelsior 189519191951
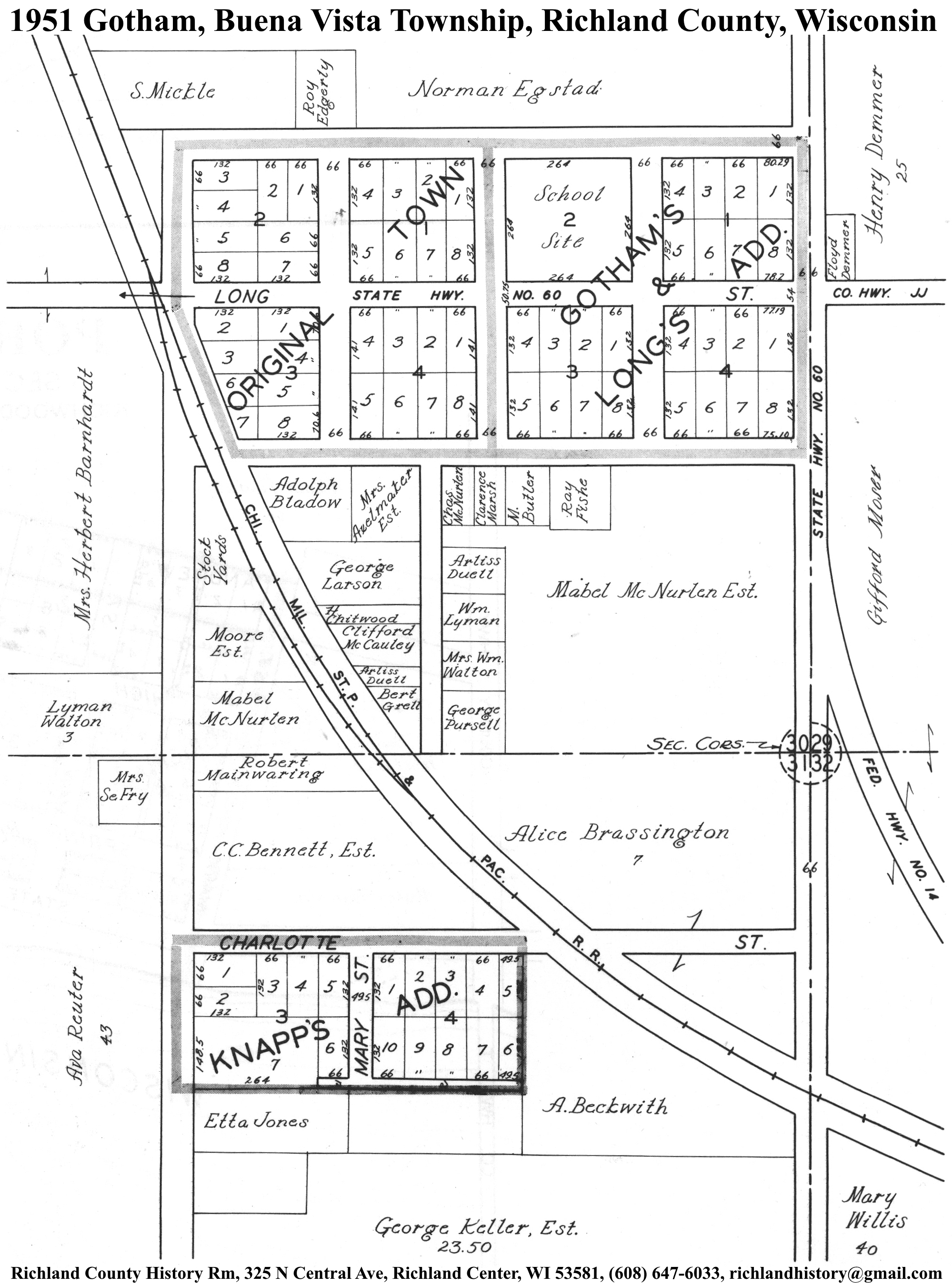
Gotham 1895 1951
Hub City 189519191951
Ithaca 1895 1951
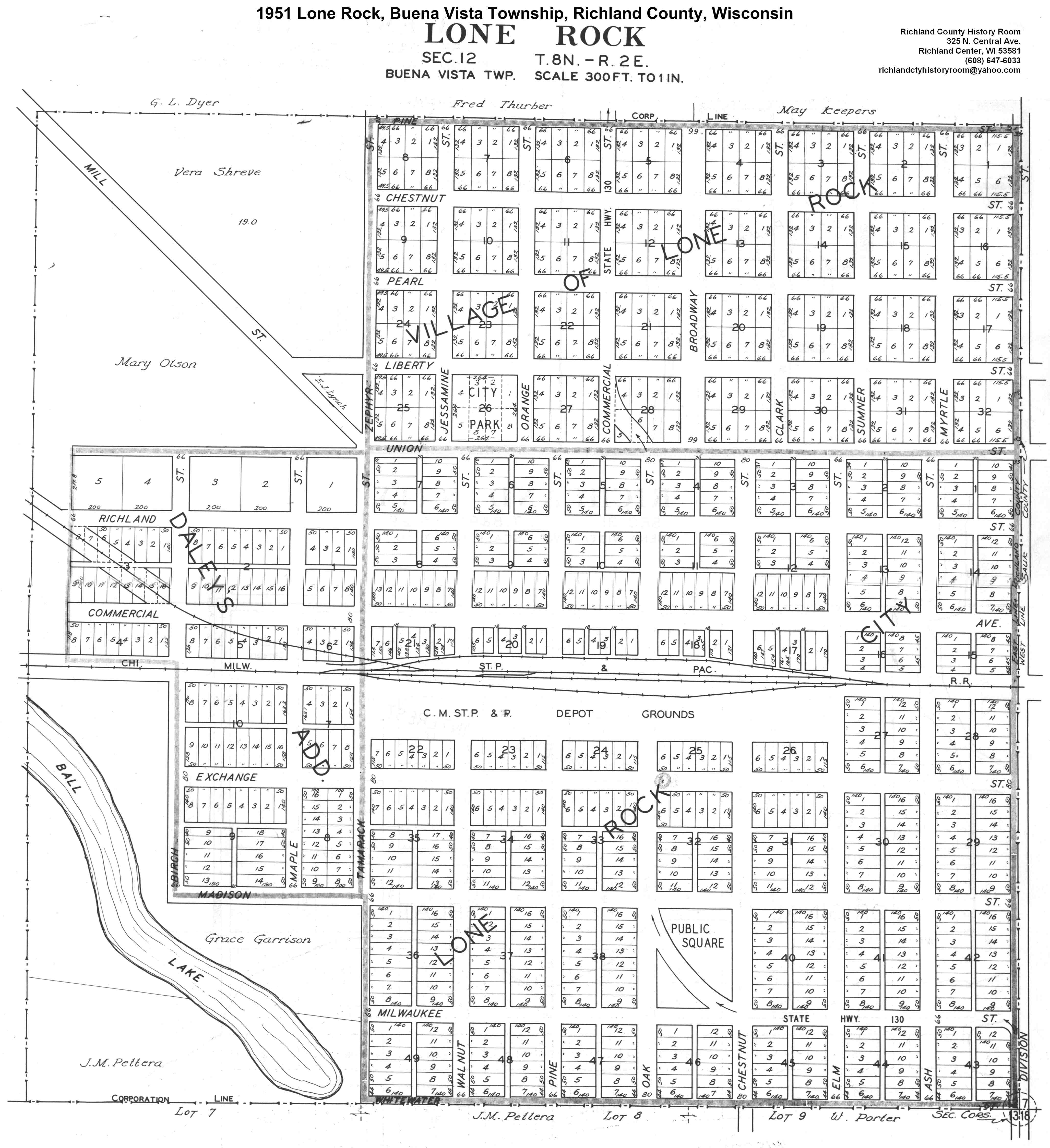
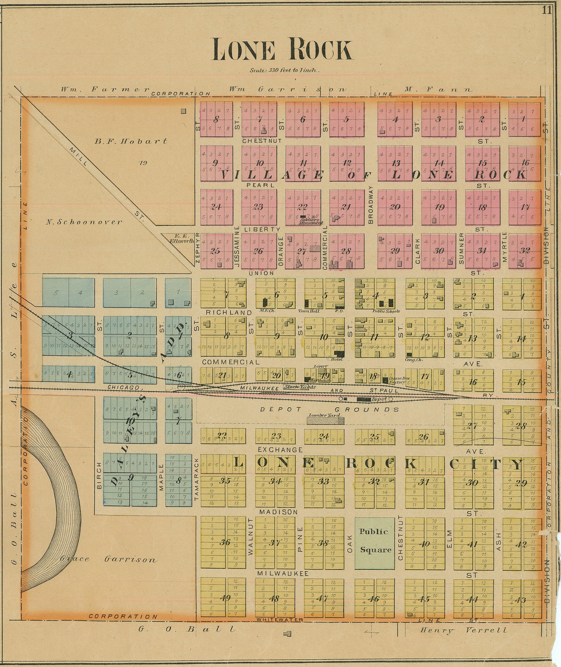
Lone Rock 1895 1951
Loyd 18951919 
Orion/Richmond1851189519191951
Port Andrew 1895 1951
Richland Center1853189519191951
Richland City 1895 1951
Rockbridge 189519191951
Sextonville 1895  1951
Twin Bluffs 18951919 1951
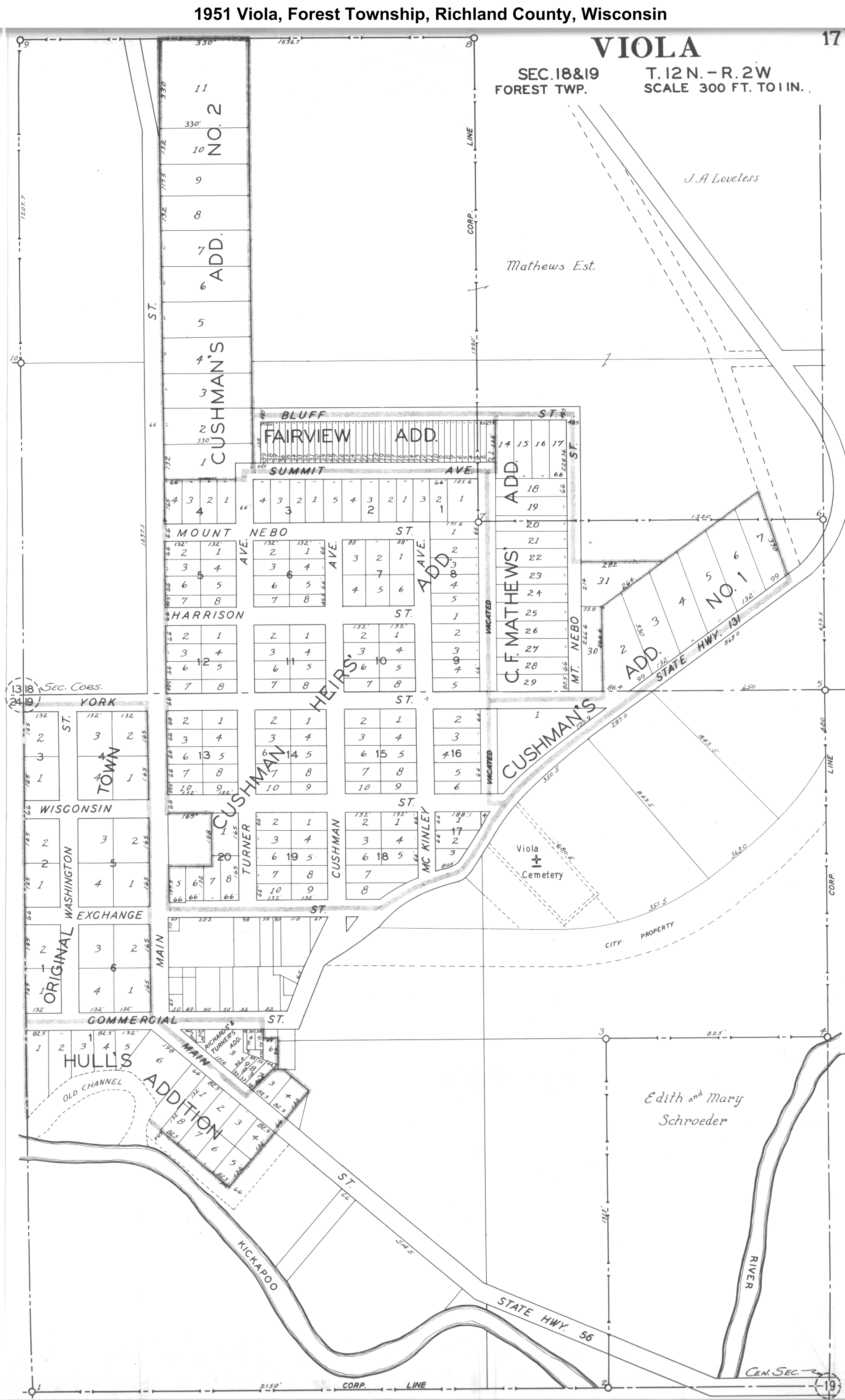
Viola 1895 1951
West Lima 1895 1951
Woodstock 1895 1951
Yuba   1951


Richland County, Wisconsin Maps: 1830, 1836, 1876, 1895, 1901, 1919, 1949.